
Categoría: Nacionales
Aviso de ciclón tropical No. 25: Melissa comienza a abandonar el territorio nacional
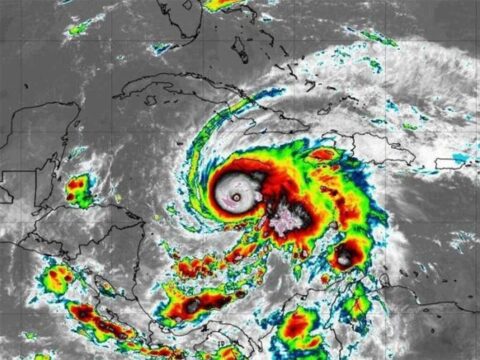
La región central del huracán Melissa durante las últimas tres horas estuvo desplazándose sobre la provincia de Holguín, reportándose calma en los municipios de Cueto,…
Raúl Castro insta a la disciplina ante paso de Melissa por Cuba
El líder de la Revolución cubana, Raúl Castro, insistió hoy en la importancia de mantener las medidas de prevención durante el paso del huracán Melissa…
Gobierno cubano prioriza salvaguarda de personas ante Melissa
Ante la inminente llegada del huracán Melissa, el gobierno cubano despliega hoy un operativo preventivo en todo el oriente del país, centrado en la protección…
Comienza en Italia el XVII Encuentro de Cubanos Residentes en Europa
El XVII Encuentro de Cubanos Residentes en Europa (ECRE), inicia hoy en Italia con una marcha patriótica por las calles de Roma hasta la embajada…
Cuba en campaña contra dengue y chikungunya
Cuba enfrenta hoy la circulación de enfermedades como dengue y chikungunya mediante una estrategia de control que combina la eliminación de criaderos del mosquito vector…





















